Sound Gallery - Yellow-rumped Warbler

Small bird perched on a branch
Yellow-rumped Warbler at Congaree National Park

NPS Photo

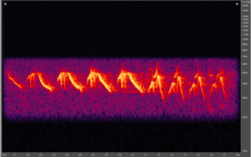
Spectrogram of Yellow-rumped warbler
Spectrogram of Yellow-rumped warbler. Spectrograms are graphs that visualize sounds. The brightness of the colors shows sounds’ amplitude (loudness) across different frequencies (pitches), shown from bottom to top, and over time, from left to right. This spectrogram visualizes the changing rhythms of the warbler's high-pitched call

NPS

  • Listen to more natural and human-made sounds recorded in national parks via the NPS Sound Gallery

Last updated: May 7, 2025