Sound Gallery - Canada Geese

Two Canada Geese flying against a blue sky.
Canada Geese in flight

© Wallace Keck

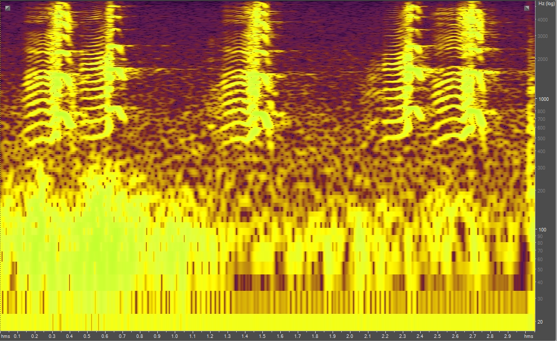
Spectrogram of Canada geese
Spectrogram of Canada Geese. Spectrograms are graphs that visualize sounds. The brightness of the colors shows sounds’ amplitude (loudness) across different frequencies (pitches), shown from bottom to top, and over time, from left to right. This spectrogram visualizes geese's complex honks, including sounds at multiple harmonic-like frequencies

NPS

  • Listen to more natural and human-made sounds recorded in national parks via the NPS Sound Gallery

Last updated: May 6, 2025