Archeological Field Notes 1961

Schumacher Excavation
Schumacher Excavation

PROCESS OF DISCOVERY:
Field Notes Archeological Excavations at Fort Clatsop

Paul J. F. Schumacher
Archeologist
1961

With additional funds made available by the Washington Office of the National Park Service to the Region Four Office, I was on assignment from the Regional Office to continue the archeological investigation of the site. I arrived in Astoria on Sunday, April 7, 1957, and started on the following day.

EXCAVATIONS

June 26, 1961

Started excavating again at Fort Clatsop. Two laborers and back hoe - front end loader with operator.

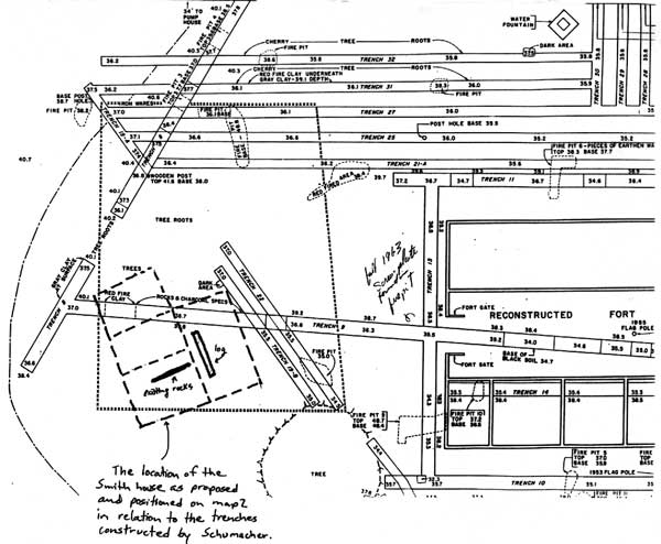
The back hoe has a 24" bucket and the operator is cutting a straight trench 2 ft. plus in width. We are following this trenching very carefully in order to check any variations in the soil, and for any artifacts. The operator is going 3-5 ft. deep down to sterile clay. Started with an east-west trench, continuing the numeration of the trenches excavated in 1956-57, this one is numbered 19. It is in two sections 24 ft., and 37 ft. long with a space in between due to the heavy tree roots. Mid 19th century artifacts - brick and English ironstone china appear in great quantities in this particular section.

After the back hoe has completed a section of trench we scrape the trench walls clean with trowels to exhibit any features in the stratigraphy. This method works out very well, since the trenching is rapid and then one can soon see the wall profiles, which is all that would be visible in this type of excavation anyway. In trench 19A a fire pit and a post hole have appeared. Trench 20 is an angle extension of trench 19A-B. It is 53 ft. long. A burial of modern tin cans was uncovered in trench 20. My old trenches of the 1956-57 excavations show up very clearly in the new trench profiles. I intend to cross trench with the machine as much as possible of the area not previously excavated.

The two cherry trees had broken and partially toppled during a wind storm the week prior to my arrival. The maintenance man cut them down, and the back hoe was used to remove the stumps and vast root system. When my two men are not working for me on the trenches, they help the maintenance man remove the wood, roots, old fences, posts, etc.

The cyclone fence around the reconstructed fort was removed the week previous to my arrival. This not only gives the fort and vicinity a much better appearance, but it also facilitates the excavation of the trenches by the power machinery. Trench 21 runs north-south from my old trench 8 to the old fence line, 2 ft. wide, in three sections due to tree roots, 124 ft., 31 ft., and 27 ft. long. It is also ca. 3-5 ft. deep. Located five fire pits in the profile, one of which we had previously excavated in 1957. During the late afternoon, while the machine was here, the old chain fence, concrete block, marker, and platform were broken up and removed. The metal commemorative plaque was saved for exhibition use.

Day started off cool, but became sunny and warm.

June 27, 1961

Due to an emergency in another part of the county, the machine was called off the job for three hours. The two laborers were busy cleaning up and removing the concrete, wood posts and fence, and wire from around the area, and helping me measure and record the already excavated trenches. When the machine returned, the operator started on trenches 22 and 23, running parallel and 2 ft. and 3 ft. north respectively of trenches 19B and 20, and backfilling the two latter trenches at the same time. More 19th century artifacts from trench 22, but not as much as previously. Completing these, the operator removed the old 1908 flagpole stump which had been covered by the concrete platform and marker. The pole stump was 7 ft. deep in the ground beneath the surface. Although legend say coins were dropped in the bottom prior to placing the flagpole, no evidence of coins were found, although the hole was thoroughly cleaned out. There was a mass of greenish tinted clay at the bottom of the hole and struck to the base of the pole, having all the appearance of clay which had been tinted by copper or bronze, but coins would not disintegrate like that in such a short period of years.

Operator then started trench 24 running E-W from the cliff edge, through the area of the old memorial plaque, along the north side of the reconstructed fort and up into the tree area.

Day cool, cloudy - pleasant.

June 28, 1961

Operator with machine continues to excavate trench 24 - 220 ft. long by the time he completes it. Uncovered one fire pit and two charred spots. The two laborers are cleaning off the walls of the trenches already excavated for profile purposes, and exposing the fire pits uncovered in trench 21A. One of these fire pits is quite extensive. Operator then excavated trench 25 parallel to trench 21 and 4 ft. west of it. This newest trench runs 126 ft. in a north-south direction. With these completed, the operator started to backfill some of the trenches we have already measured and recorded.
Flecks of charcoal appear throughout most of the profiles, some pieces being rather large and deep. These are not significant, however, since these were introduced in those locations by the tree roots. One can find them along most of the tree roots that are alive today. The only really significant features are the red baked clay and charcoal areas which are evidence of former fires. These fires are not merely picnicker fires because the areas covered are often too large and too deep. I strongly believe these fire pits are evidence of Indian or Lewis and Clark camp fires or of the fort wall when it was burned.

Day - cool, cloudy, windy in the afternoon.

June 29, 1961

Intermittent rain in the morning. Machine operator excavated trench 26 parallel to trench 24. It runs east-west for 69 feet. Two laborers continue to follow out fire pit areas and clean the trench walls for profiles. Trench 26 had a fire pit 2 ft. across and 1 ft. deep. Trench 21C had two very large fire pits with very pure red clay - very little charcoal. One was 6-7 ft. E-W, 1-9 ft. N-S, and 2.0 ft. deep; the other was 4.0 ft. E-W, 4.7 ft. N-S, and 1.8 ft. deep.

Trench 27, 171 ft. N-S runs parallel to trench 25, and 3.5 ft. north of it. Two fire pits appeared in the trees north of the reconstructed fort, and two on the south end. One of these was a continuation of the one uncovered is trenches 21A and 25. The other was an extremely deep one; 4.5 ft. deep and 4 ft. across.

Machine excavated trenches 28, 29, and 30, running E-W, parallel to trenches 26 and 24. These end in the trees. Each of these trenches produced evidence of fire pits in the form of burned red clay, and charcoal. Laborers continue to clean the trench walls and follow out these fire pits.

Afternoon - clear but cool.

June 30, 1961

Machine operator is backfilling some of the trenches in the area we have thoroughly investigated. Two laborers are excavating - following out the red clay areas.

The post hole at the end of the trench 19A was .5 x .5 ft. with a deep fire pit in the back of it. Excavated this fire pit. Took a sample #5 of the charcoal from this fire pit. In the afternoon the operator completed two more trenches, 31 and 32 running N-S, parallel to trench 27. One fire pit appeared in trench 31 and a 15 ft. long lens of red fire clay appeared at 1.5 ft. in depth underneath a pure layer of gray clay. This was in the former cherry tree area. This reversed stratigraphy may have been caused by tree planting or other similar operation. Trench 31 was 111 ft. long, and trench 32 was 109 ft. long. The latter had one fire area underneath the cherry tree roots, and one suspiciously dark area. The two laborers and I finished measuring and recording the excavated trenches and artifacts. The operator still had three hours of backfilling to do, which he said he would do on July 1. All artifacts being of the mid 19th century or later were discarded.

Completed excavation.

Day - sunny, warm.

A total of 80 man hours of labor at $2.16 per hour, for a total of $172.80 was spent on this project, plus the use of mechanized equipment and operator at $50.00 per day for 5 days - for a total cost of $250.00; and a grand total of $422.80.


ARTIFACTS
  • Trenches 19A & B & 22

  • Brick
  • Modern bottles - Kraft oil
  • Rim of large circular tin coffee can
  • Top of detergent can
  • Oil lamp top or cap
  • 3" x 8" iron plate with center hole 3/4" and one small hole
  • 8" wagon brake shoe
  • 1" x 5-1/2" plate
  • 2 pieces of stove plate 4" x 4" 6" x 6"
  • 11" round bar
  • 1 piece blue porcelain
  • 3 piece earthenware - blue on white
  • 87 pieces ironstone china - cups, cup handle, cup lips, plates. "Warranted Royal Ironstone China - Charles Meakin England" "Edward Clark, Burslem, England"
  • 33 pieces brown and gray stoneware - butter coolers, etc.
  • 19 pieces clear glass - bottles, windowpane, etc.
  • 4 pieces light green glass
  • 1 piece brown glass
  • 1 piece blue glass
  • 1 bonbon or vase disk - cut glass
  • 1 small bottleneck - glass
  • 1 square cut decorated glass\
  • 1 piece glass decorated "-- MA Fig S --" "--NCISCO --"
  • Trenches 21A, 25, 27, 31, 32 and top of Fire Pit

  • 1 Round handstone - possibly used for pounding - found on top of red fire clay
  • 1 car lock
  • 1 bundle of copper wire magneto
  • 67 2" square cut nails
  • 11 2-1/2" square cut nails
  • 25 3" square cut nails
  • 3 3" square cut spikes
  • 4" square cut spikes
  • 5-1/2" square cut spikes
  • 6 4-1/2" spikes - R.E. type
  • Tin can key and top rolled up
  • 4-1/2" buggy spring
  • 11" hand scythe
  • 2 sickle blands and 1 guard
  • 3 large pieces bar iron
  • 3 small pieces bar iron
  • 6 pieces of strap iron
  • 4" piece ladies show sole - steel arch
  • 42 pieces brown and gray stoneware
  • 33 ironstone china - white
  • 5 pieces porcelain - 1 cup - blue rim with gold trim
  • 3 pieces Chinese porcelain
  • 4 pieces blue on white earthenware
  • 1 brown bottle neck and 1 piece
  • 1 small ribbed bottle
  • 13 pieces of blue, green and brown bottles
  • 1 piece cut glass
  • 8 pieces clear bottle glass
  • 1 piece "codbury" on greenish bottle
  • 10 pieces fuzzed by heat bottle glass
  • Area 3

  • 1 8" oblong chain link with 5" bolt
  • 2 pieces strap iron
  • 2 pieces stove plate
  • 2 3" nails - square cut
  • 3 pieces green bottle glass
  • 6 pieces clear bottle glass
  • 3 pieces brown bottle glass
  • 1 piece milk glass
  • 5 pieces brown stoneware
  • 20 pieces ironstone china - white "Semi Porcelain Jo"
  • 2 pieces porcelain
 
Schumacher Excavation
Schumacher Excavation
 

Last updated: February 28, 2015

Park footer

Contact Info

Mailing Address:

Lewis and Clark National Historical Park
92343 Fort Clatsop Road

Astoria, OR 97103

Phone:

503 861-2471
Rangers are available to answer your calls between the hours of 9 - 5 PST.

Contact Us