Article

Discoveries at the Bug Lab

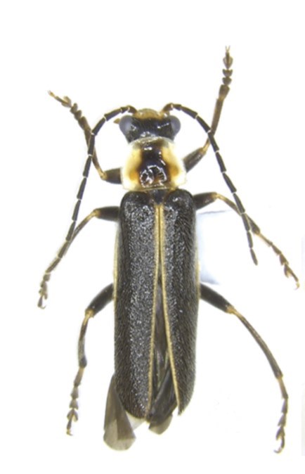
Looking down on a long black beetle with six legs and two swept back antennae
Newly discovered Cantharis sheraldi soldier beetle

A beetle, never before documented by science, was recently discovered in Turkey Run Park, a unit of Virginia’s George Washington Memorial Parkway (GWMP). The insect, Cantharis sheraldi is a type of soldier beetle, and it was named in honor of retired NPS National Capital Region Natural Resource Chief Jim Sherald. But how can new species still be found these days, much less at a site sitting inside the Washington, D.C. beltway?

Citizen Science and the Bug Lab

GWMP and its Natural Resource Program Manager Brent Steury host a unique scientific team that since 2005, has vastly increased the known biodiversity of the park by thousands of species. The team, a brainchild of Steury and former GWMP natural resources staff, works out of an unremarkable park building called the “Bug Lab” and its members are volunteers provided with special training in beetle identification and museum practices. The insects are mostly captured in Malaise traps deployed and collected by GWMP natural resources staff. Then, at workspaces equipped with microscopes, special lighting, tweezers, pins, and very tiny labels, volunteers like Jerry Taylor carefully sort through hundreds of park insect samples three days a week. They group arthropods into different orders and families. (It was Taylor that did the sorting of soldier beetles that discovered Cantharis sheraldi.) Some families are sent to experts in academia for further investigation, while Steury handles other families, such as Cantharidea, the family to which Cantharis sheraldi belongs. Bug Lab volunteers have supported the discoveries of:

  • species new to science including the fly Hydrellia toma and the caddisfly Neophylax virginica.

  • over 200 insect species previously unknown to Virginia,

  • thousands of species previously unknown to the park

Three seated women peer into microscopes in a lab.
Bug Lab volunteers examining insect samples

NPS/Urban Ecology Research Learning Alliance

The Lesser Known Branches of the Tree of Life

One of the reasons to look at insects is that there are a lot of them. And we know a lot less about them than we do about, for instance, mammals. Insects (like bees, ants and butterflies) and other arthropods (like spiders, millipedes, and crustaceans) are actually the most diverse and abundant animals on the planet. They are invertebrates, which lack backbones or bony skeletons, and make up about 98 percent of the known animal kingdom, playing an important ecological role in decomposition, and providing essential food for larger and more familiar creatures like mammals and birds.

A Special Place: The Potomac Gorge

The backdrop for all this is the Potomac Gorge, an area known for its high species richness and rare plants and animals. It is a roughly 15-mile river corridor stretching up from the Francis Scott Key Bridge in Washington, DC’s Georgetown neighborhood, up to Great Falls in Virginia and Maryland. Despite it’s urban setting, it has one of the highest concentrations of rare species in the nation, including uncommon groundwater invertebrates (amphipods and snails) and globally rare plant communities found almost nowhere else on Earth. It is also one of the most significant hardwood forests in all of Virginia and supports the highest concentration of rare plants in Maryland.

In Order to Care, You Must Know What’s There

The Bug Lab project at GWMP has demonstrated that there is still a tremendous amount of biological diversity to be discovered, and that citizen scientists can help reveal it. Browse a list of scientific journal articles documenting new species and other findings from the George Washington Memorial Parkway.

A hand holding tweezers is poised over a square dish scattered with insect specimens
Insect specimens being sorted by a Bug Lab volunteer.

NPS/Urban Ecology Research Learning Alliance

George Washington Memorial Parkway

Last updated: December 1, 2020